cancel
Showing results for 
Search instead for 
Did you mean: 

Nucleo-H755ZI Configure Power Supply

Jack3
Senior III

For the Nucleo-H755ZI, I use the 'PWR_DIRECT_SMPS_SUPPLY' choice in 'HAL_PWREx_ConfigSupply', like:

 

HAL_PWREx_ConfigSupply(PWR_DIRECT_SMPS_SUPPLY);

 

With this setting, the board works fine and keeps working after flashing.

If you choose for example 'PWR_LDO_SUPPLY', you would next un-brick your board, using STM32CubeProgrammer, selecting Mode 'Power Down' and erasing the chip.
That way you can flash it again within STM32CubeIDE, after correcting the power setting.

 

Since I can't find the 'PWR_DIRECT_SMPS_SUPPLY' option in STM32CubeMX, I always need to modify it manually.
In STM32CubeMX I only find these settings:

- PWR_LDO_SUPPLY
- PWR_EXTERNAL_SOURCE_SUPPLY
- PWR_SMPS_1V8_SUPPLIES_LDO
- PWR_SMPS_2V5_SUPPLIES_LDO
- PWR_SMPS_1V8_SUPPLIES_EXT_AND_LDO
- PWR_SMPS_2V5_SUPPLIES_EXT_AND_LDO
- PWR_SMPS_1V8_SUPPLIES_EXT
- PWR_SMPS_2V5_SUPPLIES_EXT

It seems I'm missing
- PWR_DIRECT_SMPS_SUPPLY

Do I overlook some other setting?

1 ACCEPTED SOLUTION

Accepted Solutions
Imen.D
ST Employee

Hi @Jack3 ,

This is a normal behavior, as you are using a core frequency above 400 MHz, which requires the use of the LDO and pushes "PWR_DIRECT_SMPS_SUPPLY" option disappear.

You can refer to the STM32H755 datasheet and check the Table 24. Supply voltage and maximum frequency configuration:

ImenD_0-1716973338834.png

So, reduce the core frequency to 400 MHz, then keep me informed about your update.

When your question is answered, please close this topic by clicking "Accept as Solution".
Thanks
Imen

View solution in original post

6 REPLIES 6
Imen.D
ST Employee

Hello @Jack3 ,

Make sure to update and use the latest release of STM32CubeMX v6.11.1.

The "PWR_DIRECT_SMPS_SUPPLY" option is available with STM32CubeMX v6.11.1.

ImenD_0-1716897365687.png

 

When your question is answered, please close this topic by clicking "Accept as Solution".
Thanks
Imen

Hi Imen, thanks for the quick repsonse!

I forgot to mention I'm using STM32CubeMX v6.11.1.

Somehow it's not in my STM32CubeMX v6.11.1.

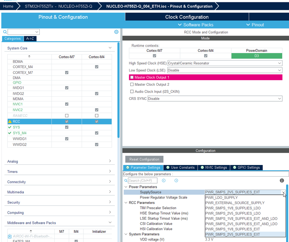
javaw_ILdyQgn6zv.png

 

Imen.D
ST Employee

Hi @Jack3 ,

It's strange! Please try delete old CubeMX versions and keep only the latest one to make sure that you are using properly the last release (v6.11.1).

Otherwise, please share your ioc file to check this case.

When your question is answered, please close this topic by clicking "Accept as Solution".
Thanks
Imen

Hi Imen,

thnak you very much, I deleted the old CubeMX versions, and use the latest version.

I now attached the ioc file.

javaw_4TBkrLJoDY.png

 

 

Imen.D
ST Employee

Hi @Jack3 ,

This is a normal behavior, as you are using a core frequency above 400 MHz, which requires the use of the LDO and pushes "PWR_DIRECT_SMPS_SUPPLY" option disappear.

You can refer to the STM32H755 datasheet and check the Table 24. Supply voltage and maximum frequency configuration:

ImenD_0-1716973338834.png

So, reduce the core frequency to 400 MHz, then keep me informed about your update.

When your question is answered, please close this topic by clicking "Accept as Solution".
Thanks
Imen

Hi Imen, I can confirm this was the issue.

Though I was alway able to adjust it outside of STM32CubeMX and then everything worked just fine.

I see the voltage should be 1.7V instead of 1.62V, indeed.

Perhaps I should run the board no higher than 400MHz to avoid issues.

One of the things is that I can't get LWIP working on that board, yet.

javaw_dNzea9lCgQ.png