cancel
Showing results for 
Search instead for 
Did you mean: 

STM32N6 EXTMEM_MANAGER unable to select EXTMEM_LINK_CONFIG_16LINE

Tuomas95
Associate III

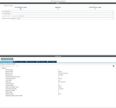
I have set XSPI1 to "Hexa SPI" mode. I'm using EXTMEM_MANAGER to manage the memory. I'm unable to select the setting EXTMEM_LINK_CONFIG_16LINE for "Number of memory data lines". Instead there is a info textbox which says "Active only when XSPI enabled in Hexa SPI mode.". The only available option is EXTMEM_LINK_CONFIG_1LINE. This results the EXTMEM_DRIVER_PSRAM_Init function to fail in the Config switch case, as the only options in the switch case are EXTMEM_LINK_CONFIG_16LINE and EXTMEM_LINK_CONFIG_8LINE.

If i manually force the Config to be EXTMEM_LINK_CONFIG_16LINE before the switch case, it seems to work.

I believe that i should be able to select EXTMEM_LINK_CONFIG_16LINE with MX if my XSPI is configured to Hexa SPI mode.

 

Tuomas95_0-1764245325470.png

 

Tuomas95_1-1764245443360.png

Tuomas95_3-1764245711709.png

 

 

1 ACCEPTED SOLUTION

Accepted Solutions

Hello @Tuomas95 

This issue has been resolved in the latest version of STM32CubeMX 6.17.0 

Link to download 

THX

Ghofrane

To give better visibility on the answered topics, please click on Accept as Solution on the reply which solved your issue or answered your question.

View solution in original post

2 REPLIES 2
Ghofrane GSOURI
ST Employee

Hello @Tuomas95 

Thanks for your valuable contribution.

Issue has been escalated to dev team under internal ticket ID  222668  and it will be fixed as soon as possible.

I will keep you posted with updates.

THX

Ghofrane

To give better visibility on the answered topics, please click on Accept as Solution on the reply which solved your issue or answered your question.

Hello @Tuomas95 

This issue has been resolved in the latest version of STM32CubeMX 6.17.0 

Link to download 

THX

Ghofrane

To give better visibility on the answered topics, please click on Accept as Solution on the reply which solved your issue or answered your question.